Save
Ask
Tour
Hide
$229,500
3 Days On Site
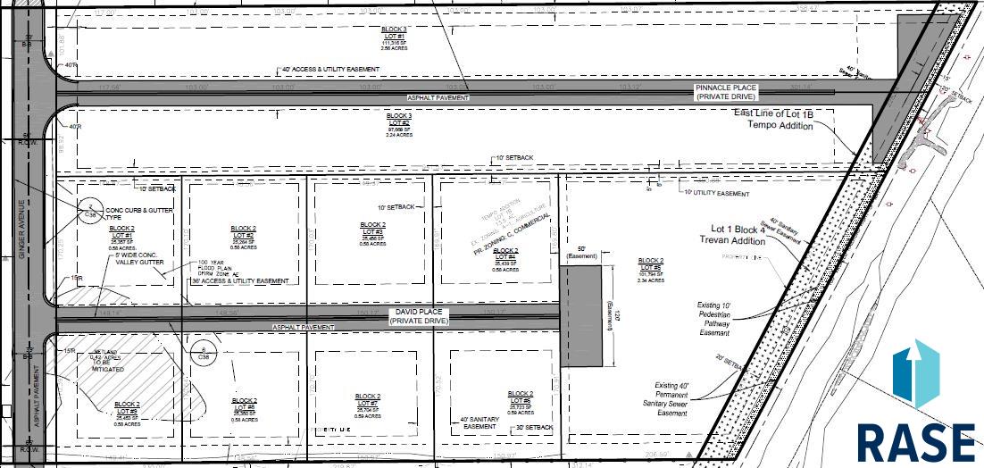
Lots 2-4 & 6-9, David PlTea, SD 57064
For Sale|Land|Active
Subdivision:
Trevan Addition to the City of Tea
County:
Lincoln
Call Now: 1605-413-1871
Is this the listing for you? We can help make it yours.
1605-413-1871
Save
Ask
Tour
Hide
Mortgage Calculator
Monthly Payment (Est.)
$1,047Calculator powered by Showcase IDX, a Constellation1 Company. Copyright ©2026 Information is deemed reliable but not guaranteed.
Seven .6 acre lots available for sale zoned I-1 Light Industrial. All utilities brought into each lot (Natural Gas, Electricity, Tea City Water and Sewer). Perfect for a contractor shop, warehouse, repair business, etc. All 7 lots are priced at $229,500. They vary in size so the price psf varies as well. You have your choice of lots, first come, first served. If you purchase multiple lots the price will be adjusted accordingly. These are the only Industrial zoned lots, less than 1 acre for sale in the Sioux Falls area.
Save
Ask
Tour
Hide
Listing Snapshot
Price
$229,500
Days On Site
3 Days
Bedrooms
N/A
Inside Area (SqFt)
N/A
Total Baths
N/A
Full Baths
N/A
Partial Baths
N/A
Lot Size
0.5854 Acres
Year Built
N/A
MLS® Number
22602661
Status
Active
Property Tax
N/A
HOA/Condo/Coop Fees
$75
Sq Ft Source
N/A
Friends & Family
Recent Activity
| 3 days ago | Listing updated with changes from the MLS® | |
| 3 days ago | Listing first seen on site |
General Features
Acres
0.5854
Additional Property Use
Commercial
Sewer
Public Sewer
Utilities
Natural Gas AvailableElectricity AvailableSewer AvailablePhone Available
Water Source
Public
Zoning
Light Industrial
Save
Ask
Tour
Hide
Exterior Features
Fencing
None
Lot Features
City LotLevel
Road Frontage
City StreetPrivate Road
Community Features
Association Amenities
Maintenance
Association Dues
75
MLS Area
SF-SW10
Roads
Asphalt
School District
TeaArea
Schools
School District
TeaArea
Elementary School
Tea ES
Middle School
Tea MS
High School
Tea HS
Listing courtesy of Brian Smit of Better Homes and Gardens Real Estate Beyond brian@bhgrebeyond.com
Information deemed reliable but not guaranteed. All properties are subject to prior sale, change, or withdrawal. The data relating to real estate on this website comes in part from the Realtor Association of the Sioux Empire MLS Internet Data Exchange Program. Real estate listings held by brokerage firms other than Better Homes and Gardens Real Estate Beyond are marked with the Realtor Association of the Sioux Empire MLS IDX logo and detailed information about them includes the name of the listing broker. The information being provided is for consumers' personal, non-commercial use and may not be used for any purpose other than to identify prospective properties consumers may be interested in purchasing.
Data last updated at: 2026-04-20 02:26 AM UTC
Information deemed reliable but not guaranteed. All properties are subject to prior sale, change, or withdrawal. The data relating to real estate on this website comes in part from the Realtor Association of the Sioux Empire MLS Internet Data Exchange Program. Real estate listings held by brokerage firms other than Better Homes and Gardens Real Estate Beyond are marked with the Realtor Association of the Sioux Empire MLS IDX logo and detailed information about them includes the name of the listing broker. The information being provided is for consumers' personal, non-commercial use and may not be used for any purpose other than to identify prospective properties consumers may be interested in purchasing.
Data last updated at: 2026-04-20 02:26 AM UTC
Neighborhood & Commute
Source: Walkscore
Save
Ask
Tour
Hide